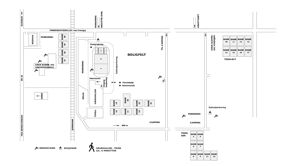
Banekart

Last ned PDF av årets banekart her

Veibeskrivelse

Hvordan finner du Grueturneringen? Søk opp Gruehallen i din GPS, eller se kart nedenfor.